Beryl recobra fuerza y se convierte en huracán de categoría 3

Conagua informó que se estima que durante la madrugada del viernes impacte Tulum, Quintana Roo.

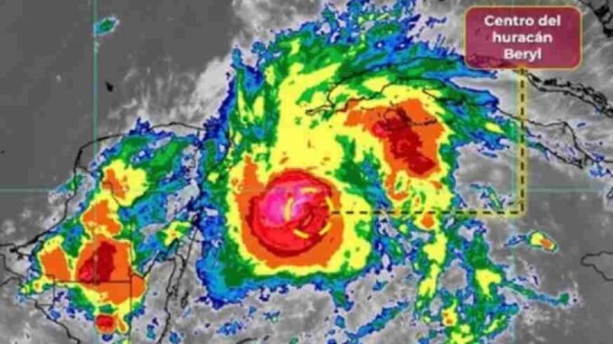
Ciudad de México.-  Aunque esta tarde el huracán Beryl se degradó a categoría 2, al filo de las 20:00 horas de este jueves, el fenómeno recuperó fuerza y pasó a ser un huracán de categoría 3 en la escala de Saffir-Simpson.

De acuerdo a la Comisión Nacional del Agua (Conagua), el huracán Beryl “se prevé impacte durante la madrugada del viernes en Tulum, Quintana Roo, muy cerca del municipio de Solidaridad, incluyendo la Isla Cozumel”.

A su vez, la instancia federal informó que las bandas nubosas que integran al huracán Beryl ocasionarán lluvias intensas a puntuales torrenciales, así como vientos intensos y oleaje elevado en la Península de Yucatán.

Bajo la categoría 3, el huracán Beryl posee vientos sostenidos de 185 kilómetros por hora, así como rachas de viento de 230 kilómetros por hora. 

¿Cuál es la ubicación del huracán Beryl la noche de este jueves 4 de julio?

De acuerdo a Conagua, en su reporte de las 19:45 horas, el huracán Beryl se ubica a 250 kilómetros al este-sureste de Cancún, Quintana Roo y a 260 kilómetros  al este-sureste de Tulum, Quintana Roo. 

¿Cuál es el pronóstico de lluvia que se tiene para el huracán Beryl?

Datos de la Conagua estiman que, una vez que toque tierra, Beryl podría dejar un acumulado de lluvia de hasta 250 milímetros en ciertas regiones, aquí el pronóstico: 

  • Lluvias puntuales torrenciales (150 a 250 milímetros) en Yucatán y Quintana Roo.
  • Lluvias puntuales intensas (75 a 150 milímetros) en Campeche.
  • Lluvias puntuales muy fuertes (50 a 75 milímetros) en Tabasco y Chiapas.

A su vez, también se estima que existan rachas de viento de 200 a 230 kilómetros por hora, oleaje de seis a ocho metros de altura, marea de tormenta de tres a cinco metros y posible formación de trombas marinas en las costas de Yucatán y Quintana Roo.

También se prevén rachas de viento de 130 a 150 kilómetros por hora y oleaje de cuatro a seis metros de altura en las costas de Campeche. 

ABC Noticias