
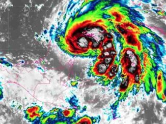
‘Helene’ se fortalece a huracán categoría 1 y amenaza a Cancún: ¿Qué daños ya dejó?
Si bien el huracán ‘Helene’ no tocará tierra en Quintana Roo, sí dejará lluvias torrenciales durante las próximas horas, advirtió el SMN. La tormenta tropical Helenese intensificó a huracán categoría 1, informó el Centro Nacional de Huracanes […]